Phố Mua Bán
Đăng nhập

Đăng nhập

Phố Mua Bán
×
Đăng ký thành viên | Quên mật khẩu?
Phố Nhà Đất  »  Đất Thổ

BÁN 3 LÔ ĐẤT MẶT TIỀN TRẦN THỊ HÈ (HT42), Q.12 – ĐƯỜNG 12M VỈA HÈ RỘNG – SHR

6,1 tỷ ₫
3 hình ảnh
Ẩn hình ảnh
Avatar của Nguyễn Hoàng Bảo Châu
Nguyễn Hoàng Bảo Châu
Tham gia: 05/2024, HCM
Xem gian hàng Gửi thư Hiện số điện thoại
Thông tin mô tả

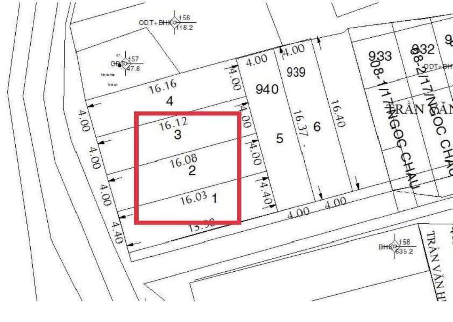
BÁN 3 LÔ ĐẤT MẶT TIỀN TRẦN THỊ HÈ (HT42) – P. HIỆP THÀNH, Q.12 – ĐƯỜNG 12M – VỈA HÈ RỘNG – SỔ RIÊNG

Vị trí đẹp, mặt tiền Trần Thị Hè (HT42), Phường Hiệp Thành, Quận 12 – Đường nhựa 12m có vỉa hè, thuận tiện kinh doanh đa ngành   

Lô 1: 5,5m x 18m – Góc 2 mặt tiền thoáng đẹp – Giá: 6,1 tỷ (TL)       
Lô 2 & 3: 4m x 18m – vuông vức, đẹp – Giá: 5,45 tỷ/lô (TL)       
Sổ hồng riêng từng lô – Xây dựng tự do, pháp lý rõ ràng       
Gọi ngay Ms Mỹ - 0909.805.456 để xem đất và chọn nền vị trí đẹp – Giá tốt khu vực tiềm năng phát triển nhanh!       


Địa điểm: TP Hồ Chí Minh
Ngày đăng: 15:36 09/06/2025
Hỏi & Đáp về sản phẩm
Đã sao chép số điện thoại!
DANH MỤC PHỐ ×
  ĐĂNG KÝ THÀNH VIÊN
Đang tải danh mục...
Phố Mua Bán

Sưu tầm đồ xưa, mua bán đồ cũ!

Giới thiệu Thông báo Bảng giá Kiến thức Liên hệ
Quy chế hoạt động Quy trình giải quyết tranh chấp Chính sách bảo mật thông tin

Địa chỉ: HKD Cổng Phố: S41, Tầng 1, Chung cư H3, 384 Hoàng Diệu, Phường Khánh Hội (Quận 4), Tp Hồ Chí Minh

ĐKKD số: 41D8009456 do UBND Quận 4, Tp Hồ Chí Minh cấp ngày 05 tháng 10 năm 2017

Liên hệ: Trần Thanh Sang

© 2025 Phomuaban.vn - Bản quyền thuộc Phomuaban.vn

Trang chủ Lên đầu trang
Tiện ích Danh mục
Tìm kiếm Tài khoản